(931) 363-9138
Home
LIVE
County/City Information
Pulaski
Giles County
Ardmore
Elkton
Lynnville
Minor Hill
Giles County History
Education
Giles County Schools System
UT Southern
Tennessee College of Applied Technology Pulaski
Columbia State Community College
Healthcare
Southern Tennessee Regional Health System
Visit Pulaski
Utilities
Electric
Water
Sewer
Natural Gas
Cable/Internet
Telecommunications
PARTNERS
City of Pulaski
Giles County
Giles County Chamber
MTIDA
TVA
SCTDD
Department of Economic & Community Development
RETAIL
Demographics
Traffic Counts
INDUSTRIAL
Map of Giles County
Available Sites and Buildings
Dan Speer Industrial Park South
Taxes and Incentives
Local Incentives
State of Tennessee
TVA
USDA
Workforce Innovation and Opportunity Act
Utilities
Electric
Water
Sewer
Natural Gas
Telecommunications/High Speed Internet
Labor Force
Labor Market Data
Wage and Benefit Data
Civilian Labor Force Profile
Transportation
Highways
Railroads
Airports
Port of Florence
Multimodule Facilities
ENTREPRENEURSHIP
The Turner Center for Rural Vitality
Small Business Development Center at MTSU
Tennessee Smart Start
CONTACT US
menu
Dan Speer Industrial Park South
Master Plan (click map to enlarge)
Download master plan
Marketing Brochure
Download brochure
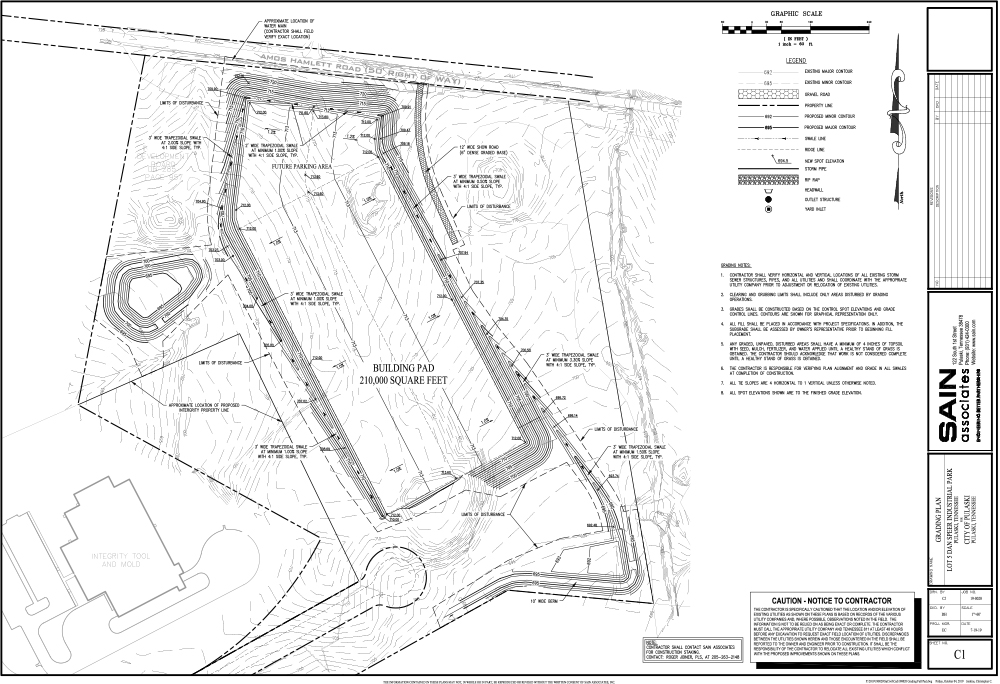
Lot 5 Grading Plan (click map to enlarge)
Download grading plan